Nutritional requirements of puppies, adults and seniors
One of the best ways to ensure good health for your dog is through optimised nutrition. As you might expect, the optimal food for your dog does not remain the same throughout their life. In fact, nutritional requirements change considerably at each life stage, and while dogs will always need their full complement of vitamins and minerals, certain elements become more important at certain points.
Vitamins
Vitamins are organic substances that are needed for normal cell function, growth and development.
Minerals
There are two kinds of minerals: macro-minerals and trace minerals (micro-minerals). Dogs need more significant amounts of macro-minerals, including calcium, phosphorus, magnesium, sodium, potassium, chloride and sulphur but only small amounts of trace minerals. These include cobalt, copper, fluoride, iodine, iron, manganese, selenium and zinc.
Puppies
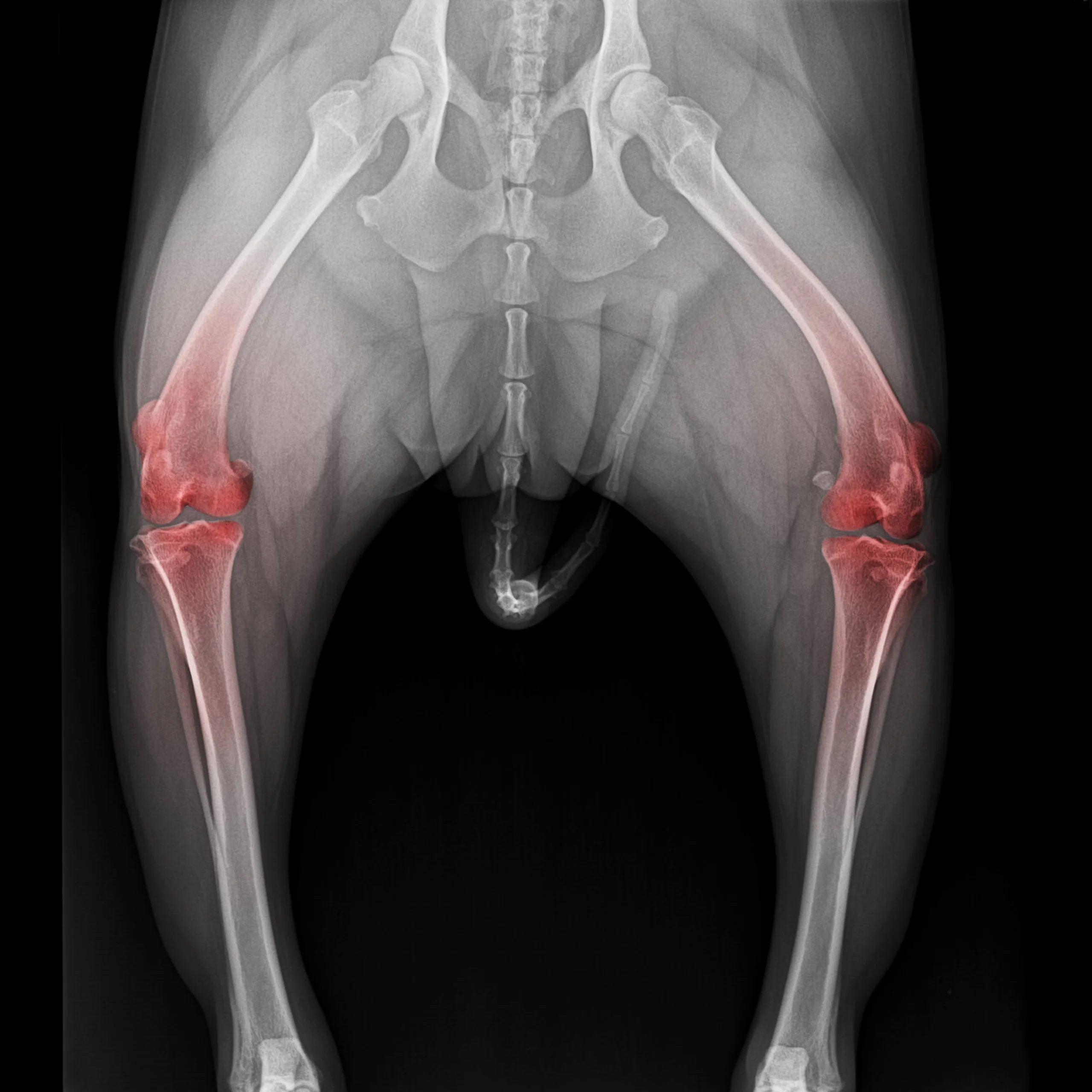
The growth plates are still open in this puppy
KEY ELEMENTS: Calcium and protein
A food specially designed for puppies is perfect for the healthy growth and development of bones and joints. Bones grow from growth plates found at the end of long bones, and when these growth plates close, the dog is considered fully developed. This closure may occur at around 9-12 months for small breeds, but it may not happen until the dog is 18-24 months old in large puppies.
This means that what a puppy eats at this life stage can affect them for their whole life due to its impact on their development. In fact, many orthopaedic problems that show up in adulthood actually develop during the rapid growth phase when the dog is a puppy. While this can be due to over-exercise, some vital dietary factors can increase the risk of skeletal disorders, especially in larger breed dogs.
Calcium
Before the age of six months, puppies cannot regulate how much calcium they absorb from the diet and are at greater risk of excessive levels. Calcium does not affect the growth rate, but excess calcium harms the developing bone, meaning the level supplied must be tailored for puppies. Therefore, it is particularly important that you never feed a puppy food that is designed for an adult dog before they reach six months of age.
Energy
Again, the key is only to provide puppy food for puppies and avoid giving adult dog food to puppies. Adult dog food provides too much energy (calories) for the rapid growth phase when the puppy is 3-6 months of age. Although growing puppies need more protein than when they reach adulthood, this protein must be supplied in a way that doesn’t provide too much energy. Therefore, puppy feeds are formulated to include plenty of protein but without high-calorie levels. In addition, feeding a food that is too high in energy can cause your puppy to put on weight, and the increased body weight puts extra strain on the joints.
In summary, the puppy phase requires specific puppy food up until at least six months of age.
Adult dogs
KEY ELEMENTS: Energy, protein, vitamins, minerals and fibre
A complete and balanced food formulated for adult dogs will ensure that the dog has enough energy for their day-to-day activities. As a general rule, if the dog’s energy requirements are met, their requirements for vitamins and minerals will also be met.
It is also worth looking for a food containing the correct fibre type to meet your adult dog’s needs. Soluble fibre forms a gel in the gut and can help to keep the dog feeling fuller for longer. Soluble fibre does not have to be listed in the nutritional information, but it will be added in the form of ingredients like sweet potato. On the other hand, if you want insoluble fibre to help prevent or treat constipation, this is easier to supply, as it is listed in the nutritional information as ‘crude fibre’. Look for levels of around 2% crude fibre.
In addition, all of the critical nutrients recommended below for senior dogs can be brought in earlier before the dog reaches their senior years to help offset some age-related changes.
Senior dogs
KEY ELEMENTS: Energy, protein, joint care nutrients and antioxidants.
As dogs age, they require less energy (calories) because they gradually lose muscle mass over time, like humans. This loss can be offset by daily walking and also through a diet formulated especially for senior dogs. Senior dog food is formulated to have slightly lower calories per serving (usually because it is lower in fat) with enough protein to maintain muscle mass. This is preferable to simply feeding a smaller portion of the adult formula, as providing a lower portion than recommended for a dog’s weight results in deficiencies of other essential nutrients.
Antioxidant nutrients can also be beneficial in senior years because the body’s cells become more prone to free radical attack. Antioxidant nutrients mop up these free radicals, and so have the potential to have an anti-ageing effect. Foods that have antioxidant properties are termed superfoods. Sometimes these are added to senior dog foods, but you can add them yourself. Examples include berries, green leafy vegetables and fish oils.
In addition, senior dog foods are often fortified with joint care supplements, including the following ingredients:
Osteoarthritis is a major issue for senior dogs
- Chondroitin sulphate and glucosamine: In the healthy state, glucosamine is made in the joint, but in osteoarthritis, this process is compromised, and so to offset this, glucosamine can be included in the diet. Glucosamine supplements are made from the exoskeletons of shrimp, lobsters and crabs. Chondroitin is also sourced from animal or fish cartilage and acts in the body to slow the rate of cartilage damage. Therefore, chondroitin and glucosamine work together to promote healthy cartilage in the joints. Most supplements have a combination of glucosamine and chondroitin sulphate and other compounds such as manganese ascorbate and flavonoids. They are very well researched, and there is good evidence for their benefit to joints.
- Methylsulfonylmethane (MSM): MSM is a natural substance that may have anti-inflammatory properties. Human nutrition studies have suggested that it may effectively treat osteoarthritis, removing pain, and increasing function of joints.
- Omega-3 fatty acids: Omega-3 fatty acids are known to have anti-inflammatory properties. A good quality omega-3 oil is a much better source of omega-3 than fish liver oils, as fish oils often contain contaminants.
Take-home message
All of this demonstrates the importance of feeding for the correct life stage and promptly transitioning to the next phase when required. Changing a puppy over to an adult formula or an adult dog over to a senior formula at the right time can have substantial health benefits. It will also prevent unwanted weight gain, which is very important, whatever the life stage your dog is currently in.
If you have questions about the current life stage of your dog and their feeding requirements, chat to your vet or a canine nutritionist.



